|
| 釣場 |
地域 |
|
釣 果 |
釣況 |
釣 人 |
写真 |
更新 |
| |
|
|
|
|
|
|
|
|
| 郷ノ浦 |
壱岐 |
|
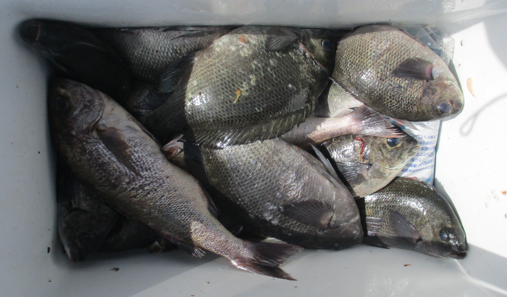
大型クロにイサキ!型揃いでした!好釣果! |
日帰 |
山口・長嶋・市川様 |
 |
|
4/12 |
| 郷ノ浦 |
壱岐 |
|
クロ!大型釣れてます! |
日帰 |
中尾様 |
 |
|
4/12 |
| 郷ノ浦 |
壱岐 |
|
大型の真鯛です!イサキアコウ、クロも釣れてます!お見事でした! |
夜釣 |
杢尾様 |
 |
|
4/12 |
| 郷ノ浦 |
壱岐 |
|
大型クロにイサキも良型釣れてます! |
夜釣 |
白木様 |
 |
|
4/12 |
| 郷ノ浦 |
壱岐 |
|
真鯛にクロ、イサキ、根魚、好釣果です! |
夜釣 |
真鍋・本澤様 |
 |
|
4/12 |
| 郷ノ浦 |
壱岐 |
|
沖ハトのイサキです!良型ですよ~! |
夜釣 |
田中様 |
 |
|
4/12 |
| 郷ノ浦 |
壱岐 |
|
ルアーフィッシング!ヒラスズキとイサキが爆釣でした!70オーバーも釣れてました!一人の短時間でこの釣果です! |
日帰 |
安保様 |
 |
|
4/11 |
| 郷ノ浦 |
壱岐 |
|
真鯛83cm、5.7kgにクロ50cm、2.1kg!イサキも型、数ともに良好でした!好釣果です! |
夜釣 |
御厨様 |
 |
|
4/8 |
| 郷ノ浦 |
壱岐 |
|
大型クロ!40オーバーが6匹位釣れてました! |
夜釣 |
吉里・溝辺様 |
 |
|
3/30 |
| 郷ノ浦 |
壱岐 |
|
良型クロ43cmに41cm!イサキも釣れてます! |
日帰 |
松本・山口様 |
 |
|
3/29 |
| 郷ノ浦 |
壱岐 |
|
真鯛、イサキ、クロです! |
夜釣 |
長野様 |
 |
|
3/29 |
| 郷ノ浦 |
壱岐 |
|
真鯛にイサキ、ヒラスズキです! |
日帰 |
長岡様 |
 |
|
3/28 |
| 郷ノ浦 |
壱岐 |
|
良型クロに真鯛です!好釣果でした! |
日帰 |
小畑・柳原様 |
 |
|
3/28 |
| 郷ノ浦 |
壱岐 |
|
桜鯛の季節です!真鯛3.6kg、3.1kg!お見事! |
夜釣 |
杢尾様 |
 |
|
3/27 |
| 郷ノ浦 |
壱岐 |
|
イサキ、真鯛、クロ、好釣果! |
夜釣 |
河村様 |
 |
|
3/27 |
| 郷ノ浦 |
壱岐 |
|
クロにイサキです! |
夜釣 |
古川様 |
 |
|
3/27 |
| 郷ノ浦 |
壱岐 |
|
沖ハトの釣果です!イサキに真鯛、クロです! |
日帰 |
大曲様 |
 |
|
3/22 |
| 郷ノ浦 |
壱岐 |
|
良型クロにイサキ!好釣果です! |
夜釣 |
下川様 |
 |
|
3/22 |
| 郷ノ浦 |
壱岐 |
|
大型クロ45cm、1.6kg頭です! |
日帰 |
山口様 |
 |
|
3/21 |
| 郷ノ浦 |
壱岐 |
|
良型クロにイサキ、タイ!好釣果! |
夜釣 |
松隈様 |
 |
|
3/21 |
| 郷ノ浦 |
壱岐 |
|
良型クロ42cmに41cm!お見事! |
夜釣 |
古田様 |
 |
|
3/21 |
| 郷ノ浦 |
壱岐 |
|
良型クロ、釣れてます! |
日帰 |
長嶋様 |
 |
|
3/21 |
| 郷ノ浦 |
壱岐 |
|
大型クロ47cm!お見事! |
日帰 |
山川様 |
 |
|
3/20 |
| 郷ノ浦 |
壱岐 |
|
クロ!大型いますよ~! |
日帰 |
村部・鋸崎様 |
 |
|
3/20 |
| 郷ノ浦 |
壱岐 |
|
クロ45cmに41cm!真鯛に良型イサキも釣れてました!好釣果です! |
夜釣 |
芳賀様 |
 |
|
3/17 |
| 郷ノ浦 |
壱岐 |
|
大型クロがバッカンいっぱい釣れてます! |
日帰 |
山口様 |
 |
|
3/15 |
| 郷ノ浦 |
壱岐 |
|
大型クロ45cm頭!好釣果です! |
日帰 |
牟田崎様 |
 |
|
3/15 |
| 郷ノ浦 |
壱岐 |
|
大型クロに真鯛、イサキも釣れてました! |
夜釣 |
廣田・永様 |
 |
|
3/15 |
| 郷ノ浦 |
壱岐 |
|
大型クロ!50cm、2kgに45cm!イサキも釣れて、好釣果です! |
夜釣 |
田中様 |
 |
|
3/9 |
| 郷ノ浦 |
壱岐 |
|
大型クロ45cm、43cm!イサキも釣れてます! |
夜釣 |
丸目・岡崎様 |
 |
|
3/9 |
| 郷ノ浦 |
壱岐 |
|
クロ、45cm頭!好釣果です! |
日帰 |
鋸崎様 |
 |
|
3/8 |
| 郷ノ浦 |
壱岐 |
|
口太クロ49んmに48cm、2.2kg!お見事! |
日帰 |
柳原様 |
 |
|
3/7 |
| 郷ノ浦 |
壱岐 |
|
大型クロ47cm頭!釣れてますよ~! |
日帰 |
平田様 |
 |
|
3/5 |
| 郷ノ浦 |
壱岐 |
|
大型クロ46cm!良型のみ持ち帰りです! |
日帰 |
小畑様 |
 |
|
2/26 |
| 郷ノ浦 |
壱岐 |
|
大型クロ46cm!良型のみ持ち帰りです! |
日帰 |
柳原様 |
 |
|
2/26 |
| 郷ノ浦 |
壱岐 |
|
大型クロ釣れてます!好釣果です! |
日帰 |
竹松様 |
 |
|
2/23 |
| 郷ノ浦 |
壱岐 |
|
大型クロ46cm頭!大漁です! |
日帰 |
長岡様 |
 |
|
2/23 |
| 郷ノ浦 |
壱岐 |
|
大型クロ!52cmに51cmです!イサキも釣れてました! |
夜釣 |
吉開・武藤様 |
 |
|
2/21 |
| 郷ノ浦 |
壱岐 |
|
ヒラスズキ!数釣れてました! |
夜釣 |
龍頭様 |
 |
|
2/21 |
| 郷ノ浦 |
壱岐 |
|
大型クロ51cm頭!40後半が複数釣れてます!イサキも良型です!お見事! |
夜釣 |
河村様 |
 |
|
2/20 |
| 郷ノ浦 |
壱岐 |
|
大型クロ46cm2匹頭!クーラー満タンの好釣果です!大型クロ釣れてますよ~! |
夜釣 |
木本様 |
 |
|
2/20 |
| 郷ノ浦 |
壱岐 |
|
クロ、 良型1kg弱の型揃いです! |
日帰 |
松本様 |
 |
|
2/19 |
| 郷ノ浦 |
壱岐 |
|
真鯛に大型クロ!好釣果です! |
夜釣 |
吉武様 |
 |
|
2/18 |
| 郷ノ浦 |
壱岐 |
|
クロ42cmに41cm!型揃いです! |
日帰 |
山口様 |
 |
|
2/17 |
| 郷ノ浦 |
壱岐 |
|
大型クロ46cm頭!好釣果でした! |
夜釣 |
御厨様 |
 |
|
2/16 |
| 郷ノ浦 |
壱岐 |
|
クロ46cm、44cm!イサキも釣れてました! |
夜釣 |
関・小野様 |
 |
|
2/15 |
| 郷ノ浦 |
壱岐 |
|
大型クロ49cm頭!お見事! |
日帰 |
柴田様 |
 |
|
2/15 |
| 郷ノ浦 |
壱岐 |
|
爆釣です!クロ46cm頭、大型で数も釣れてますよ~!流石の釣果です! |
日帰 |
村部様 |
 |
|
2/14 |
| 郷ノ浦 |
壱岐 |
|
大型クロです! |
日帰 |
長岡様 |
 |
|
2/14 |
| 郷ノ浦 |
壱岐 |
|
クロ沢山釣れてます!お見事! |
日帰 |
中村様 |
 |
|
2/13 |
| 郷ノ浦 |
壱岐 |
|
大型クロ49cm頭!好釣果です! |
日帰 |
山口様 |
 |
|
2/12 |
| 郷ノ浦 |
壱岐 |
|
大型クロ、釣れてますよ!45cmです! |
日帰 |
柴田様 |
 |
|
2/9 |
| 郷ノ浦 |
壱岐 |
|
大型クロ40cmオーバー複数釣れてます! |
夜釣 |
高鍋・石山様 |
 |
|
2/4 |
| 郷ノ浦 |
壱岐 |
|
大型クロ49cm!お見事です! |
日帰 |
鋸崎様 |
 |
|
1/31 |
| 郷ノ浦 |
壱岐 |
|
口ブトクロ49cmに41cm!イサキも釣れてます!好釣果おめでとうございます! |
夜釣 |
武藤・吉開様 |
 |
|
1/31 |
| 郷ノ浦 |
壱岐 |
|
大型クロ、大漁です!大型揃いですよ! |
日帰 |
山口様 |
|
|
1/31 |
| 郷ノ浦 |
壱岐 |
|
大型クロも釣れてますよ~! |
日帰 |
長嶋様 |
 |
|
1/31 |
| 郷ノ浦 |
壱岐 |
|
ヒラマサ3本にヤズ2本です!お見事! |
日帰 |
岡本様 |
 |
|
1/21 |
| 郷ノ浦 |
壱岐 |
|
大型クロ45cm、1.4kg!ヒラスも釣れてます! |
日帰 |
山口様 |
 |
|
1/6 |
| 郷ノ浦 |
壱岐 |
|
ヒラスにクロ40cm2匹です! |
日帰 |
竹松様 |
 |
|
1/6 |
| 郷ノ浦 |
壱岐 |
|
沖ハトの釣果です!クロ、数釣れてます! |
日帰 |
宮坂様 |
|
|
1/6 |
| 郷ノ浦 |
壱岐 |
|
ヒラマサ1本にブリ2本です!お見事です! |
日帰 |
岡本様 |
 |
|
1/1 |
| 郷ノ浦 |
壱岐 |
|
ヒラスやブリイカも釣れました! |
日帰 |
中本チーム様 |
 |
|
12/31 |
| 郷ノ浦 |
壱岐 |
|
73cm5.2kgの真鯛釣れました! |
夜釣 |
吉開様 |
|
|
12/31 |
| 郷ノ浦 |
壱岐 |
|
118cmの鰆釣れました。 |
日帰 |
田中様 |
|
|
12/28 |
| 郷ノ浦 |
壱岐 |
|
良型のクロ釣れました。 |
日帰 |
御厨様 |
 |
|
12/20 |
| 郷ノ浦 |
壱岐 |
|
ヒラス釣れてます。 |
日帰 |
油布様 |
 |
|
12/19 |
| 郷ノ浦 |
壱岐 |
|
クロ・イサキ・タイ釣れました。 |
夜釣 |
木本・河村様 |
|
|
12/19 |
| 郷ノ浦 |
壱岐 |
|
クロ釣れました。 |
日帰 |
舌間様 |
 |
|
12/18 |
| 郷ノ浦 |
壱岐 |
|
良型のクロ釣れました。 |
日帰 |
鋸崎様 |
 |
|
12/13 |
| 郷ノ浦 |
壱岐 |
|
イサキ・タイ・クロ・イシダイが釣れました! |
夜釣 |
吉武・荒巻様 |
|
|
12/11 |
| 郷ノ浦 |
壱岐 |
|
大型クロ40cmオーバー釣れてます! |
日帰 |
山本様 |
|
|
12/10 |
| 郷ノ浦 |
壱岐 |
|
クロやタイでクーラー満杯です。 |
夜釣 |
高鍋チーム様 |
 |
|
12/10 |
| 郷ノ浦 |
壱岐 |
|
マグロと良型のクロ釣れました。 |
夜釣 |
西様 |
 |
|
12/7 |
| 郷ノ浦 |
壱岐 |
|
|
夜釣 |
田中様 |
|
 |
12/7 |
| 郷ノ浦 |
壱岐 |
|
ヒラスでした。 |
日帰 |
岩澤様 |
 |
|
12/6 |
| 郷ノ浦 |
壱岐 |
|
85cmのヒラスでした。 |
日帰 |
岡本様 |
|
|
12/6 |
| 郷ノ浦 |
壱岐 |
|
77㎝3.8㎏ヒラスと72cm3.7kgスズキです! |
日帰 |
岡本様 |
 |
 |
12/1 |
| 郷ノ浦 |
壱岐 |
|
大型真鯛にクロ、イサキ!大漁でした! |
夜釣 |
米永様 |
 |
 |
11/23 |
| 郷ノ浦 |
壱岐 |
|
大型クロ45cm、1.4kg頭にアジも大型釣れてました! |
夜釣 |
廣田グループ様 |
 |
|
11/23 |
| 郷ノ浦 |
壱岐 |
|
クロ40cmオーバーに良型シマアジです! |
夜釣 |
首藤グループ様 |
 |
|
11/23 |
| 郷ノ浦 |
壱岐 |
|
大型のアジ!50cmクラスが数枚釣れてました! |
夜釣 |
関様 |
 |
|
11/23 |
| 郷ノ浦 |
壱岐 |
|
大型イシダイ!68cm、5.3kg!お見事でした! |
日帰 |
中村様 |
 |
 |
11/22 |
| 郷ノ浦 |
壱岐 |
|
ルアーゲーム!良型のヒラマサ、お見事! |
日帰 |
横地・小畑様 |
 |
|
11/22 |
| 郷ノ浦 |
壱岐 |
|
大型クロ46cmにシマアジも釣れてました! |
夜釣 |
龍頭・川浪様 |
 |
|
11/22 |
| 郷ノ浦 |
壱岐 |
|
ヒラマサ 142cm、21kg! ヒラマサ、ブリ、数も釣れてます!お見事でした! |
日帰 |
田中グループ様 |
 |
|
11/21 |
| 郷ノ浦 |
壱岐 |
|
ヒラマサに平スズキ!好釣果です! |
日帰 |
芝・上田様 |
 |
|
11/21 |
| 郷ノ浦 |
壱岐 |
|
クロです!良型も釣れてますよ! |
夜釣 |
古川様 |
 |
|
|
| 郷ノ浦 |
壱岐 |
|
アラにイシガキです!お見事でした! |
夜釣 |
笠井・長澤様 |
 |
|
11/17 |
| 郷ノ浦 |
壱岐 |
|
クロにネリゴです! |
夜釣 |
森田様 |
 |
|
11/17 |
| 郷ノ浦 |
壱岐 |
|
真鯛に大型クロ、イサキ!好釣果です! |
夜釣 |
河村・木本様 |
 |
|
11/16 |
| 郷ノ浦 |
壱岐 |
|
大アジにクロ、イサキ!釣れてますよ~! |
夜釣 |
薦野・宮脇様 |
 |
|
11/16 |
| 郷ノ浦 |
壱岐 |
|
大型クロ47cmに46cm!数も沢山釣れてました! |
夜釣 |
井上様 |
 |
|
11/16 |
| 郷ノ浦 |
壱岐 |
|
大アジ、50cmに48cm!デカアジ釣れてます! |
夜釣 |
古川様 |
 |
|
11/16 |
| 郷ノ浦 |
壱岐 |
|
大型イサキにクロ!クーラー満タンです! |
夜釣 |
河合様 |
 |
|
11/15 |
| 郷ノ浦 |
壱岐 |
|
イシガキにアカハタ!ガキ数釣れてました! |
夜釣 |
栄村様 |
 |
 |
11/15 |
| 郷ノ浦 |
壱岐 |
|
大アジ50cmクラスにクロも良型です!イサキも釣れてます! |
夜釣 |
右田様 |
 |
|
11/14 |
| 郷ノ浦 |
壱岐 |
|
大アジに良型クロ、イサキです!好釣果! |
夜釣 |
今泉様 |
 |
|
11/14 |
| 郷ノ浦 |
壱岐 |
|
デカアジです!数も釣れてますよ~! |
夜釣 |
山本様 |
 |
|
11/14 |
| 郷ノ浦 |
壱岐 |
|
良型真鯛に大アジ、アコウ、イサキ、クロ!クーラー満タンの好釣果です! |
夜釣 |
田中・三苫様 |
 |
|
11/13 |
| 郷ノ浦 |
壱岐 |
|
ルアーゲーム!良型のヒラマサです! |
日帰 |
長嶋様 |
 |
|
11/10 |
| 郷ノ浦 |
壱岐 |
|
ハトの釣果です!クロにイサキ、数釣りです! |
日帰 |
宮坂様 |
 |
|
11/8 |
| 郷ノ浦 |
壱岐 |
|
イシガキです! |
夜釣 |
稲田様 |
 |
|
11/6 |
| 郷ノ浦 |
壱岐 |
|
大型ヒラマサに平スズキ、ヒラゴも釣れてます! |
日帰 |
油布様 |
 |
 |
11/2 |
| 郷ノ浦 |
壱岐 |
|
良型のイサキ!ハトの釣果です! |
夜釣 |
吉武様 |
 |
|
11/2 |
| 郷ノ浦 |
壱岐 |
|
ヒラマサ82cm!お見事です! |
日帰 |
田中様 |
 |
|
11/1 |
| 郷ノ浦 |
壱岐 |
|
大型クロにデカアジ、平スズキ、イサキ!クーラー満タンの大漁です! |
夜釣 |
一ノ瀬様 |
 |
|
10/30 |
| 郷ノ浦 |
壱岐 |
|
イシガキ8匹に大型のシマアジ、イサキも大型です!イシガキも良い型してます! |
夜釣 |
栗原様 |
 |
|
10/30 |
| 郷ノ浦 |
壱岐 |
|
ヒラマサ!8kgクラスです!お見事でした! |
日帰 |
福田様 |
 |
|
10/29 |
| 郷ノ浦 |
壱岐 |
|
大型のシマアジにイサキ!50cmのアジも釣れてました! |
夜釣 |
浜地様 |
 |
|
10/29 |
| 郷ノ浦 |
壱岐 |
|
大型シマアジにイサキです! |
夜釣 |
田中様 |
 |
|
10/29 |
| 郷ノ浦 |
壱岐 |
|
大型シマアジにイサキです! |
夜釣 |
三苫様 |
 |
|
10/29 |
| 郷ノ浦 |
壱岐 |
|
デカアジ50cmオーバーにイサキも沢山釣れてました!お見事です! |
夜釣 |
河村様 |
 |
|
10/28 |
| 郷ノ浦 |
壱岐 |
|
イシガキ6匹の好釣果です! |
夜釣 |
上園様 |
 |
|
10/28 |
| 郷ノ浦 |
壱岐 |
|
朝のみ短時間でイシガキ7匹です!良い型してます、好釣果! |
日帰 |
山口様 |
 |
|
10/26 |
| 郷ノ浦 |
壱岐 |
|
沖ハトです!ネリゴにクロ、サンバソウ! |
日帰 |
岩永様 |
 |
|
10/26 |
| 郷ノ浦 |
壱岐 |
|
大型クロです!好釣果でした! |
日帰 |
長岡様 |
 |
|
10/25 |
| 郷ノ浦 |
壱岐 |
|
イサキにクロ44cm、1.2kg! |
夜釣 |
吉開・武藤様 |
 |
|
10/25 |
| 郷ノ浦 |
壱岐 |
|
イシガキにチヌです!好釣果! |
夜釣 |
上田様 |
 |
 |
10/12 |
| 郷ノ浦 |
壱岐 |
|
イシガキです!良型ですよ~! |
夜釣 |
道竿様 |
 |
|
10/12 |
| 郷ノ浦 |
壱岐 |
|
良型の真鯛にイサキ!お見事でした! |
夜釣 |
杢尾様 |
 |
|
10/12 |
| 郷ノ浦 |
壱岐 |
|
イサキにクロです! |
夜釣 |
梶原様 |
 |
|
10/12 |
| 郷ノ浦 |
壱岐 |
|
キハダマグロ、3本です!なかなかのサイズでしたよ~!お見事でした! |
日帰 |
土谷様 |
 |
 |
10/11 |
| 郷ノ浦 |
壱岐 |
|
イサキにクロ!大型イサキにクロも40弱の良型釣れてました! |
夜釣 |
荒巻・吉武様 |
 |
|
10/6 |
| 郷ノ浦 |
壱岐 |
|
ヒラマサです!お見事でした! |
日帰 |
加納様 |
 |
 |
10/1 |
| 郷ノ浦 |
壱岐 |
|
良型イサキ!沢山釣れてました!イサキ、好調ですよ~! |
夜釣 |
右田様 |
 |
|
10/1 |
| 郷ノ浦 |
壱岐 |
|
イサキをメインに色々釣れてました!相変わらずの好釣果です! |
夜釣 |
柴垣様 |
 |
|
10/1 |
| 郷ノ浦 |
壱岐 |
|
イサキにクロ!ハトの釣果です! |
夜釣 |
山本様 |
 |
|
10/1 |
| 郷ノ浦 |
壱岐 |
|
アラです!お見事でした! |
夜釣 |
長澤様 |
 |
|
9/29 |
| 郷ノ浦 |
壱岐 |
|
イサキにクロ!数釣れてましたよ~! |
夜釣 |
大橋グループ様 |
 |
|
9/28 |
| 郷ノ浦 |
壱岐 |
|
大型イサキ40cmオーバーです!クーラー満タンでしたよ~!3㎏位の真鯛も下にいます! |
夜釣 |
吉福様 |
 |
|
9/27 |
| 郷ノ浦 |
壱岐 |
|
4kgのアラに2kgのアラ2匹です!お見事です! |
夜釣 |
秦グループ様 |
 |
|
9/25 |
| 郷ノ浦 |
壱岐 |
|
大型クロにイサキ、根魚!好釣果です! |
夜釣 |
杢尾様 |
 |
 |
9/21 |
| 郷ノ浦 |
壱岐 |
|
イサキにタイです!イサキ釣れてますよ~! |
夜釣 |
徳永様 |
 |
|
9/16 |
| 郷ノ浦 |
壱岐 |
|
大型イサキ!大漁でしたよ~! |
夜釣 |
薦野様 |
 |
|
9/15 |
| 郷ノ浦 |
壱岐 |
|
イサキにクロ!イサキ釣れてます! |
夜釣 |
宮脇様 |
 |
|
9/15 |
| 郷ノ浦 |
壱岐 |
|
イシガキ!お見事です! |
日帰 |
竹藤様 |
 |
|
9/15 |
| 郷ノ浦 |
壱岐 |
|
イシガキに大型のイサキ、お見事です! |
夜釣 |
森田グループ様 |
 |
|
9/8 |
| 郷ノ浦 |
壱岐 |
|
イサキ!暑い中お疲れ様でした! |
夜釣 |
古川様 |
 |
|
9/7 |
| 郷ノ浦 |
壱岐 |
|
イサキ!良型釣れてますよ~! |
夜釣 |
河合様 |
 |
|
8/30 |
| 郷ノ浦 |
壱岐 |
|
イサキです!好釣果です! |
夜釣 |
古川様 |
 |
|
8/24 |
| 郷ノ浦 |
壱岐 |
|
大型イサキ、大漁でしたよ~! |
夜釣 |
一ノ瀬様 |
 |
|
8/17 |
| 郷ノ浦 |
壱岐 |
|
大型イサキ!釣れてますよ~! |
夜釣 |
寺上様 |
 |
|
8/17 |
| 郷ノ浦 |
壱岐 |
|
アラ2匹です!お見事でした! |
夜釣 |
杢尾様 |
 |
 |
8/14 |
| 郷ノ浦 |
壱岐 |
|
イサキにクロです!時化の中お疲れ様でした! |
夜釣 |
館林様 |
 |
|
8/9 |
| 郷ノ浦 |
壱岐 |
|
イサキにクロ!大漁でしたよ~! |
夜釣 |
加賀田グループ様 |
 |
|
7/31 |
| 郷ノ浦 |
壱岐 |
|
石鯛にイシガキです!お見事! |
日帰 |
川内様 |
 |
|
7/27 |
| 郷ノ浦 |
壱岐 |
|
クーラー満タンの釣果です!イサキに40オーバーのクロも釣れてました!イサキ絶好調です! |
夜釣 |
中原様 |
 |
|
7/20 |
| 郷ノ浦 |
壱岐 |
|
大型クロにイサキ!イサキも良型です! |
夜釣 |
古川様 |
 |
|
7/20 |
| 郷ノ浦 |
壱岐 |
|
大型イサキ!大漁ですよ~!フカセでの釣果! |
夜釣 |
首藤グループ様 |
 |
 |
7/19 |
| 郷ノ浦 |
壱岐 |
|
イサキ、クーラー満タンの好釣果!! |
夜釣 |
坂本様 |
 |
|
7/13 |
| 郷ノ浦 |
壱岐 |
|
大型イサキ!好釣果です! |
夜釣 |
遠藤様 |
 |
|
7/13 |
| 郷ノ浦 |
壱岐 |
|
ルアーでの平スズキ、80cmの大物です!イサキも釣れてました! |
日帰 |
永尾様 |
 |
|
7/12 |
| 郷ノ浦 |
壱岐 |
|
良型イサキ!釣れてますよ~! |
夜釣 |
中本様 |
 |
|
7/9 |
| 郷ノ浦 |
壱岐 |
|
イサキ!良い型してます! |
夜釣 |
岩佐様 |
 |
|
7/8 |
| 郷ノ浦 |
壱岐 |
|
大型イサキ!好釣果でした! |
夜釣 |
廣田・中村・永様 |
 |
|
7/6 |
| 郷ノ浦 |
壱岐 |
|
イサキにクロ!クーラー満タンの釣果です! |
夜釣 |
吉開様 |
 |
|
7/5 |
| 郷ノ浦 |
壱岐 |
|
イサキにクロ!大型イサキも釣れてますよ~! |
夜釣 |
武藤様 |
 |
|
7/5 |
| 郷ノ浦 |
壱岐 |
|
大型クロ、40オーバー2匹にイサキも大型です! |
夜釣 |
河合グループ様 |
 |
|
7/5 |
| 郷ノ浦 |
壱岐 |
|
ハトの釣果です!良型イサキ釣れてました! |
夜釣 |
吉住様 |
 |
|
7/4 |
| 郷ノ浦 |
壱岐 |
|
相変わらず一人でクーラー2個分の大漁です!イサキ、大型も沢山釣れてました! |
夜釣 |
荒磯様 |
 |
|
7/2 |
| 郷ノ浦 |
壱岐 |
|
大漁ですよ~!大型イサキに良型クロ、見事な釣果です! |
夜釣 |
御厨様 |
 |
|
7/2 |
| 郷ノ浦 |
壱岐 |
|
クロ40cmオーバーに大型イサキ!好釣果! |
夜釣 |
白木様 |
 |
|
7/2 |
| 郷ノ浦 |
壱岐 |
|
イサキ!大型釣れてます! |
夜釣 |
徳永様 |
 |
|
7/1 |
| 郷ノ浦 |
壱岐 |
|
イサキ!好調ですよ~! |
夜釣 |
藤木様 |
 |
|
7/1 |
| 郷ノ浦 |
壱岐 |
|
カンダイにイサキ!好釣果です! |
夜釣 |
田中様 |
 |
|
6/30 |
| 郷ノ浦 |
壱岐 |
|
イサキ釣れてますよ~!お見事! |
夜釣 |
河村様 |
 |
|
6/29 |
| 郷ノ浦 |
壱岐 |
|
良型のアラにイサキも沢山釣れてます! |
夜釣 |
和嶋様 |
 |
|
6/29 |
| 郷ノ浦 |
壱岐 |
|
良型クロにイサキ!好釣果です! |
夜釣 |
満保様 |
 |
|
6/29 |
| 郷ノ浦 |
壱岐 |
|
大型イサキ!丸々してますよ~! |
夜釣 |
古田様 |
 |
|
6/29 |
| 郷ノ浦 |
壱岐 |
|
大型イサキに良型のクロ!見事な釣果です! |
夜釣 |
松本・東様 |
 |
|
6/28 |
| 郷ノ浦 |
壱岐 |
|
真鯛にイサキ、クロ!好釣果です! |
夜釣 |
山本・右田様 |
 |
|
6/28 |
| 郷ノ浦 |
壱岐 |
|
イサキ、クロ、チヌ!釣れてますよ~! |
夜釣 |
松原様 |
 |
|
6/28 |
| 郷ノ浦 |
壱岐 |
|
イサキ、クロ!イサキ釣れてます! |
夜釣 |
長野様 |
 |
|
6/28 |
| 郷ノ浦 |
壱岐 |
|
大漁です!大型イサキにアラカブです!一人でクーラー2個の釣果です! |
夜釣 |
荒磯様 |
 |
|
6/20 |
| 郷ノ浦 |
壱岐 |
|
良型イサキ!沢山釣れてますよ~! |
夜釣 |
古川様 |
 |
|
6/20 |
| 郷ノ浦 |
壱岐 |
|
アラにクロ!クロ40cm後半の大型です! |
夜釣 |
小材様 |
 |
|
6/20 |
| 郷ノ浦 |
壱岐 |
|
大型のアジにクロも40cmオーバー、イサキも良く釣れてます!大漁、お見事でした! |
夜釣 |
荒磯様 |
 |
|
|
| 郷ノ浦 |
壱岐 |
|
大型クロにデカアジも釣れてますよ~! |
夜釣 |
中本様 |
 |
|
6/9 |
| 郷ノ浦 |
壱岐 |
|
イサキにクロ!好釣果です! |
夜釣 |
坂本様 |
 |
|
6/8 |
| 郷ノ浦 |
壱岐 |
|
デカアジにイサキ、クロ、チヌです! |
夜釣 |
宮脇・薦野様 |
 |
|
6/8 |
| 郷ノ浦 |
壱岐 |
|
大型の尾長!複数釣れてます! |
日帰 |
福田・山口様 |
 |
|
6/7 |
| 郷ノ浦 |
壱岐 |
|
大型真鯛85cm、6.4kg!イサキ、クロです! |
夜釣 |
一ノ瀬・河合様 |
 |
 |
6/6 |
| 郷ノ浦 |
壱岐 |
|
イサキにクロ!数釣れてますよ~! |
夜釣 |
右田グループ様 |
 |
|
6/5 |
| 郷ノ浦 |
壱岐 |
|
デカアジにイサキ、クロ!イサキ今からです! |
夜釣 |
徳永様 |
 |
|
6/2 |
| 郷ノ浦 |
壱岐 |
|
石鯛57cm、3.3kg!お見事です! |
夜釣 |
飯地様 |
 |
|
6/1 |
| 郷ノ浦 |
壱岐 |
|
石鯛2.4kg!お見事です! |
夜釣 |
阿部様 |
 |
|
6/1 |
| 郷ノ浦 |
壱岐 |
|
大型真鯛にカンダイ、クロも大型釣れてます! |
夜釣 |
橋本・西野様 |
 |
|
6/1 |
| 郷ノ浦 |
壱岐 |
|
大型真鯛にイサキ!好釣果です! |
夜釣 |
古田様 |
 |
|
6/1 |
| 郷ノ浦 |
壱岐 |
|
イサキ、数釣れてますよ~!型も良いです! |
夜釣 |
吉開様 |
 |
|
5/30 |
| 郷ノ浦 |
壱岐 |
|
大型クロ40cmオーバー!お見事です! |
夜釣 |
武藤様 |
 |
|
5/30 |
| 郷ノ浦 |
壱岐 |
|
大アジ46cmにクロ45cm、イサキも大型で数も出てましたよ~!見事な釣果です! |
夜釣 |
荒磯様 |
 |
 |
5/28 |
| 郷ノ浦 |
壱岐 |
|
真鯛に大型イサキ!柴垣さん沖ハトで何時も良く釣ってます!流石です! |
夜釣 |
柴垣様 |
 |
|
5/28 |
| 郷ノ浦 |
壱岐 |
|
大型クロ!40cmクラスが数枚釣れてました! |
夜釣 |
河村様 |
 |
|
5/28 |
| 郷ノ浦 |
壱岐 |
|
良型イサキです!イサキ今から良くなってきますよ! |
夜釣 |
今泉様 |
 |
|
5/28 |
| 郷ノ浦 |
壱岐 |
|
クロです!お疲れ様でした! |
夜釣 |
木本様 |
 |
|
5/28 |
| 郷ノ浦 |
壱岐 |
|
大型イサキにクロ!大漁でした!皆さん好釣果おめでとうございます! |
夜釣 |
田中グループ様 |
 |
 |
5/27 |
| |
 |
|
| 郷ノ浦 |
壱岐 |
|
イサキ!良い型してますよ~! |
日帰 |
大曲様 |
 |
|
|
| 郷ノ浦 |
壱岐 |
|
良型の平スズキにイサキ、タイ、クロ!好釣果おめでとうございます! |
夜釣 |
岡崎グループ様 |
 |
 |
5/19 |
| 郷ノ浦 |
壱岐 |
|
大型クロにイサキです! |
日帰 |
山口・長嶋様 |
 |
|
5/18 |
| 郷ノ浦 |
壱岐 |
|
大漁でした!イサキにクロ! |
夜釣 |
今泉・荒磯様 |
 |
|
5/14 |
| 郷ノ浦 |
壱岐 |
|
真鯛にイサキ!お見事でした~! |
夜釣 |
中村様 |
 |
 |
5/14 |
| 郷ノ浦 |
壱岐 |
|
大型クロに大型イサキ!好釣果、お見事です! |
夜釣 |
河村様 |
 |
|
5/8 |
| 郷ノ浦 |
壱岐 |
|
良型クロ35cmクラスです!イサキもいますよ! |
夜釣 |
木本様 |
 |
|
5/8 |
| 郷ノ浦 |
壱岐 |
|
真鯛に大型イサキ!見事な釣果です! |
夜釣 |
橋本グループ様 |
 |
 |
5/7 |
| 郷ノ浦 |
壱岐 |
|
良型のヒラマサ86cm!お見事でした~! |
日帰 |
武山グループ様 |
 |
|
5/5 |
| 郷ノ浦 |
壱岐 |
|
良型イサキ!数釣れてました! |
夜釣 |
松隈様 |
 |
|
5/5 |
| 郷ノ浦 |
壱岐 |
|
トウヘイにイサキ、アラカブの釣果です! |
夜釣 |
杢尾様 |
 |
|
5/5 |
| 郷ノ浦 |
壱岐 |
|
真鯛にイサキ!好釣果でした! |
日帰 |
大工園様 |
 |
|
5/5 |
| 郷ノ浦 |
壱岐 |
|
クロにイサキです! |
日帰 |
長嶋様 |
 |
|
5/5 |
| 郷ノ浦 |
壱岐 |
|
良型のカンダイです! |
夜釣 |
谷頭様 |
 |
|
5/5 |
| 郷ノ浦 |
壱岐 |
|
良型の真鯛にイサキ!お見事! |
日帰 |
寒川様 |
 |
|
5/4 |
| 郷ノ浦 |
壱岐 |
|
大漁です!クロ49cm頭で大型釣れてます!チヌも大漁でした!流石の釣果です! |
夜釣 |
一ノ瀬様 |
 |
 |
5/1 |
| 郷ノ浦 |
壱岐 |
|
平スズキ70cmオーバーです!お見事! |
日帰 |
岩澤様 |
 |
|
5/1 |
| 郷ノ浦 |
壱岐 |
|
大型クロ!他にも大型のクロ釣れてました! |
夜釣 |
井上様 |
 |
 |
4/30 |
| 郷ノ浦 |
壱岐 |
|
ルアーゲーム!平スズキにチヌ、イサキです! |
日帰 |
長澤グループ様 |
 |
 |
4/29 |
| 郷ノ浦 |
壱岐 |
|
良型クロ40cm弱にチヌ!好釣果です! |
夜釣 |
牧野・加来様 |
 |
|
4/28 |
| 郷ノ浦 |
壱岐 |
|
大型チヌ、クロも良型です! |
夜釣 |
梶原様 |
 |
|
4/28 |
| 郷ノ浦 |
壱岐 |
|
大型クロ1.6kg!チヌも釣れてました! |
日帰 |
小畑様 |
 |
|
4/28 |
| 郷ノ浦 |
壱岐 |
|
クロにチヌ、イサキです! |
日帰 |
山口様 |
 |
|
4/28 |
| 郷ノ浦 |
壱岐 |
|
良型のイサキ釣れてますよ~! |
日帰 |
市川様 |
 |
|
4/28 |
| 郷ノ浦 |
壱岐 |
|
ハトのイサキです!大型で数釣れてました! |
夜釣 |
田中様 |
 |
|
4/27 |
| 郷ノ浦 |
壱岐 |
|
クロにチヌです! |
夜釣 |
東江様 |
 |
|
4/27 |
| 郷ノ浦 |
壱岐 |
|
クロ、イサキ、チヌです! |
夜釣 |
中村様 |
 |
|
4/27 |
| 郷ノ浦 |
壱岐 |
|
クロ、チヌ、イサキ!好釣果でした! |
夜釣 |
松崎・渋田様 |
 |
 |
4/25 |
| 郷ノ浦 |
壱岐 |
|
ヒラマサ9kgに大型クロ40オーバー複数釣れてます!好釣果お見事です! |
夜釣 |
芳賀グループ様 |
 |
 |
4/21 |
| 郷ノ浦 |
壱岐 |
|
アラカブ大漁です!チヌに真鯛も釣れてました! |
夜釣 |
石田グループ様 |
 |
|
4/21 |
| 郷ノ浦 |
壱岐 |
|
クロにイサキ、チヌです! |
夜釣 |
大黒様 |
 |
|
4/21 |
| 郷ノ浦 |
壱岐 |
|
大型クロ40オーバー複数釣れてますよ~! |
夜釣 |
御厨様 |
 |
|
4/20 |
| 郷ノ浦 |
壱岐 |
|
チヌにクロ!良い型してます! |
夜釣 |
古田様 |
 |
|
4/20 |
| 郷ノ浦 |
壱岐 |
|
大型クロ45cmにチヌです! |
日帰 |
岩永グループ様 |
 |
 |
4/19 |
| 郷ノ浦 |
壱岐 |
|
クロにイサキ!好釣果! |
日帰 |
池松様 |
 |
|
4/12 |
| 郷ノ浦 |
壱岐 |
|
良型の真鯛釣れてます!クロ、イサキも良型いますよ! |
夜釣 |
岡崎・松原様 |
 |
 |
4/12 |
| 郷ノ浦 |
壱岐 |
|
大型クロ43cm、1.1kgに40cm1.0kg! |
日帰 |
池松様 |
 |
|
4/11 |
| 郷ノ浦 |
壱岐 |
|
クロ、イサキ、チヌです! |
日帰 |
ヒナ様 |
 |
|
4/11 |
| 郷ノ浦 |
壱岐 |
|
大型真鯛、83cm、6.5kg!サクラ鯛お見事! |
日帰 |
長嶋様 |
 |
|
4/6 |
| 郷ノ浦 |
壱岐 |
|
大型の春マサですよ~!90cmオーバー、お見事です! |
日帰 |
田中様 |
 |
|
3/31 |
| 郷ノ浦 |
壱岐 |
|
平スズキにクロも40オーバーの大物です!チヌも釣れてました!好釣果! |
日帰 |
植村様 |
 |
|
3/31 |
| 郷ノ浦 |
壱岐 |
|
大型チヌにクロです! |
日帰 |
山口様 |
 |
|
3/31 |
| 郷ノ浦 |
壱岐 |
|
チヌ!釣れてますよ~!お見事! |
夜釣 |
柳原様 |
 |
|
3/31 |
| 郷ノ浦 |
壱岐 |
|
良型の真鯛にイサキもデカいです!サクラ鯛の季節が始まりますよ~! |
日帰 |
寒川様 |
 |
|
3/29 |
| 郷ノ浦 |
壱岐 |
|
良型のチヌにクロです!お見事! |
夜釣 |
吉開様 |
 |
|
3/22 |
| 郷ノ浦 |
壱岐 |
|
クロにチヌ、アラカブも釣れてましたよ~! |
夜釣 |
山本様 |
 |
|
3/13 |
| 郷ノ浦 |
壱岐 |
|
大型の口太クロ52cm、2.4kg!お腹パンパンでした!チヌも釣れてましたよ~!お見事です! |
日帰 |
結城様 |
|
|
3/11 |
| 郷ノ浦 |
壱岐 |
|
大型クロ45cm前後が沢山釣れてますよ~!ササイカのおまけ付き、メバルも大型でした!好釣果おめでとうございます! |
夜釣 |
重信グループ様 |
 |
 |
3/1 |
| 郷ノ浦 |
壱岐 |
|
大型クロ49cm、2.1kg!流石です! |
日帰 |
田山様 |
 |
 |
3/1 |
| 郷ノ浦 |
壱岐 |
|
良型の真鯛に大型クロ! |
夜釣 |
御厨様 |
 |
|
3/1 |
| 郷ノ浦 |
壱岐 |
|
クロ、良い型してます!お見事です! |
夜釣 |
松崎様 |
 |
|
3/1 |
| 郷ノ浦 |
壱岐 |
|
大型クロ、45cm位が複数釣れてます! |
日帰 |
山口様 |
 |
|
3/1 |
| 郷ノ浦 |
壱岐 |
|
大型クロに巨大なチヌ、60cmは確実にありましたよ~! |
日帰 |
長嶋様 |
 |
|
3/1 |
| 郷ノ浦 |
壱岐 |
|
大型クロ!好釣果です! |
日帰 |
竹松様 |
 |
|
2/28 |
| 郷ノ浦 |
壱岐 |
|
爆釣です!49cm頭で40オーバーばかりでキーパーバッカン満タンの大爆釣!凄かったです! |
日帰 |
山口様 |
 |
 |
2/27 |
| 郷ノ浦 |
壱岐 |
|
大型クロ40cmクラスの型揃いです!お見事! |
日帰 |
市川様 |
 |
|
2/27 |
| 郷ノ浦 |
壱岐 |
|
大型クロ45cm!40オーバー数釣れてますよ~!好釣果です! |
日帰 |
小畑様 |
 |
|
2/27 |
| 郷ノ浦 |
壱岐 |
|
大型クロ49cmです!丸々してましたよ! |
夜釣 |
中村様 |
 |
|
2/23 |
| 郷ノ浦 |
壱岐 |
|
大型クロ46cmにイサキ!お見事です! |
夜釣 |
永様 |
 |
|
2/23 |
| 郷ノ浦 |
壱岐 |
|
良型の真鯛です!お見事! |
夜釣 |
廣田様 |
 |
|
2/23 |
| 郷ノ浦 |
壱岐 |
|
大漁ですね~!デカいのもいますよ~! |
日帰 |
李グループ様 |
 |
|
2/20 |
| 郷ノ浦 |
壱岐 |
|
大型クロ48cm頭です!好釣果! |
日帰 |
李グループ様 |
 |
|
2/19 |
| 郷ノ浦 |
壱岐 |
|
大型クロにイサキ!釣れてました! |
日帰 |
李グループ様 |
 |
|
2/18 |
| 郷ノ浦 |
壱岐 |
|
大型クロ49cm頭!好釣果でしたよ~! |
日帰 |
山口様 |
 |
|
2/15 |
| 郷ノ浦 |
壱岐 |
|
大型クロ!お見事でした~! |
日帰 |
鋸崎様 |
 |
|
2/15 |
| 郷ノ浦 |
壱岐 |
|
大型クロ42.5cm!おめでとうございます! |
日帰 |
長岡様 |
 |
|
2/15 |
| 郷ノ浦 |
壱岐 |
|
沖防の釣果です!真鯛にクロ、良型でしたよ!アラカブも大漁でした! |
夜釣 |
右田・山本様 |
 |
|
2/15 |
| 郷ノ浦 |
壱岐 |
|
クロ、数釣れてました! |
日帰 |
長嶋様 |
 |
|
2/2 |
| 郷ノ浦 |
壱岐 |
|
クロにチヌ、良型のアジも釣れてました! |
夜釣 |
大川グループ様 |
 |
|
2/1 |
| 郷ノ浦 |
壱岐 |
|
大型クロ45cm頭、好釣果でした! |
日帰 |
長嶋様 |
 |
|
1/26 |
| 郷ノ浦 |
壱岐 |
|
良型クロ!40cm前後の型揃いです!お見事! |
夜釣 |
古田様 |
 |
|
1/26 |
| 郷ノ浦 |
壱岐 |
|
大型クロ44cm、1.3kgに41cm、1.0kg! |
夜釣 |
吉開・武藤様 |
 |
|
1/25 |
| 郷ノ浦 |
壱岐 |
|
クロ42cm!2日目もまずまずの釣果です! |
日帰 |
佐村・小屋様 |
 |
|
1/24 |
| 郷ノ浦 |
壱岐 |
|
大型クロ49.5cm! おめでとうございます! |
夜釣 |
吉武様 |
 |
|
1/23 |
| 郷ノ浦 |
壱岐 |
|
大型クロ45cm、1.6kg!イサキも釣れてました! |
日帰 |
山口様 |
 |
|
1/23 |
| 郷ノ浦 |
壱岐 |
|
クロ!良型釣れてますよ~! |
日帰 |
小屋・佐村様 |
 |
|
1/23 |
| 郷ノ浦 |
壱岐 |
|
大型クロ45cm2匹、好釣果です! |
日帰 |
清川様 |
 |
|
1/22 |
| 郷ノ浦 |
壱岐 |
|
良型のクロのみ持ち帰りです、1.0kg! |
日帰 |
星山様 |
 |
|
1/21 |
| 郷ノ浦 |
壱岐 |
|
クロ!数釣れてました! |
夜釣 |
水野様 |
 |
|
1/21 |
| 郷ノ浦 |
壱岐 |
|
ルアーゲーム!良型のサワラ105cmにヤズ、ヒラゴです!お見事でした! |
夜釣 |
田中様 |
 |
|
1/19 |
| 郷ノ浦 |
壱岐 |
|
大型クロ、釣れてますよ~! |
夜釣 |
美林様 |
 |
|
1/19 |
| 郷ノ浦 |
壱岐 |
|
クロ42cm頭です!数釣れてました! |
夜釣 |
龍頭・甲斐様 |
 |
|
1/19 |
| 郷ノ浦 |
壱岐 |
|
クロ!数釣れてます、良型も釣れてますよ~! |
夜釣 |
松崎・満保様 |
 |
|
1/19 |
| 郷ノ浦 |
壱岐 |
|
大型クロ!お見事です! |
日帰 |
長嶋様 |
 |
|
1/19 |
| 郷ノ浦 |
壱岐 |
|
良型クロ40cmにアオリイカ10杯!大漁でした! |
夜釣 |
重信・田中様 |
 |
 |
1/18 |
| 郷ノ浦 |
壱岐 |
|
クロ40オーバーにヒラゴです! |
日帰 |
結城様 |
 |
|
1/18 |
| 郷ノ浦 |
壱岐 |
|
真鯛に青物です!お見事でした! |
日帰 |
長嶋様 |
 |
|
1/13 |
| 郷ノ浦 |
壱岐 |
|
良型のクロ40cm釣れてますよ~! |
夜釣 |
三原様 |
 |
|
1/12 |
| 郷ノ浦 |
壱岐 |
|
真鯛2.6kgにイサキです!イサキ、大型でした! |
日帰 |
福田様 |
 |
|
1/7 |
| 郷ノ浦 |
壱岐 |
|
大型のイサキにクロ、チヌです! |
日帰 |
山口様 |
 |
|
1/7 |
| 郷ノ浦 |
壱岐 |
|
クロ!釣れてましたよ~!40cmクラスがバッカンいっぱいです!好釣果! |
日帰 |
山口様 |
 |
|
1/5 |
| 郷ノ浦 |
壱岐 |
|
良型真鯛にイサキ、クロ!好釣果です! |
夜釣 |
下川様 |
 |
|
1/5 |
| 郷ノ浦 |
壱岐 |
|
良型の真鯛にイサキです! |
夜釣 |
白木様 |
 |
|
1/5 |
| 郷ノ浦 |
壱岐 |
|
真鯛にクロ!良型ですよ~! |
夜釣 |
御厨様 |
 |
|
1/3 |
| 郷ノ浦 |
壱岐 |
|
大型クロ49cm頭で40オーバー複数釣れてます!好釣果おめでとうございます! |
日帰 |
野畑様 |
 |
|
1/4 |
| 郷ノ浦 |
壱岐 |
|
クロ50cm弱の大型ですよ~!イサキも釣れてました!クーラー満タンです! |
夜釣 |
小黒様 |
 |
|
1/4 |
| 郷ノ浦 |
壱岐 |
|
青物にクロ!お疲れ様でした! |
日帰 |
岩永グループ様 |
 |
|
1/4 |
| 郷ノ浦 |
壱岐 |
|
良型のクロ、釣れてますよ~! |
日帰 |
松永様 |
 |
|
1/3 |
| 郷ノ浦 |
壱岐 |
|
ヒラゴ63cmです! |
日帰 |
藤高様 |
 |
|
1/3 |
| 郷ノ浦 |
壱岐 |
|
クロ!良型もいます! |
日帰 |
牟田崎様 |
 |
|
1/3 |
| 郷ノ浦 |
壱岐 |
|
大型クロ40cm後半の大型2匹釣れてました! |
夜釣 |
久保グループ様 |
 |
|
1/2 |
| 郷ノ浦 |
壱岐 |
|
イサキ釣れてます! 40cm位の良型のクロも1、2匹ずつ釣れてます! |
日帰 |
篠﨑・中嶋・篠﨑様 |
 |
 |
1/2 |
| 郷ノ浦 |
壱岐 |
|
クロに青物も釣れてました! |
夜釣 |
川原様 |
 |
|
1/2 |
| 郷ノ浦 |
壱岐 |
|
ボチボチサイズのクロですが数釣れてます! |
日帰 |
石井様 |
 |
|
1/1 |